Terrenos - Lot. Canto das Águas - Igaratá/SP



Leiloeiro(a): Arthur Vieira
Para participar do leilão, acesse o site do(a) Leiloeiro(a) clicando abaixo:

5.1 - LOTE EXCLUIDO
5.2 - LOTE EXCLUIDO
5.3 - LOTE EXCLUIDO
5.4 - LOTE EXCLUIDO
5.5 - LOTE EXCLUIDO
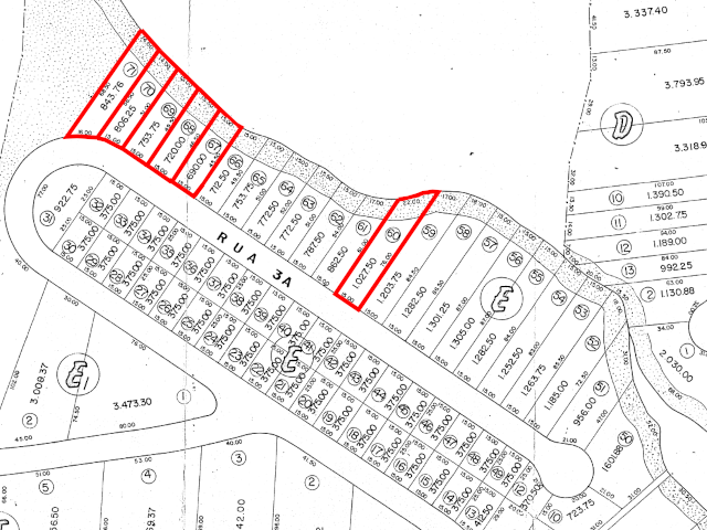
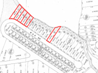
5.6 - Identificação: Matrícula: 34378 - 1º Cartório - SANTA ISABEL/SP. Descrição: Um lote de terreno sob o nº "60", da quadra "E", do loteamento denominado "Canto das Águas", situado no município de Igaratá, da Comarca de Santa Isabel, com área de 1.027,50 metros quadrados. (Avaliação: R$ 25.000,00)
5.7 - Identificação: Matrícula: 34386 - 1º Cartório - SANTA ISABEL/SP. Descrição: Um lote de terreno sob o nº "68", da quadra "E", do loteamento denominado "Canto das Águas", situado no município de Igaratá, da Comarca de Santa Isabel, com área de 720,00 metros quadrados. (Avaliação: R$ 25.000,00)
5.8 - Identificação: Matrícula: 34385 - 1º Cartório - SANTA ISABEL/SP. Descrição: Um lote de terreno sob o nº "67", da quadra "E", do loteamento denominado "Canto das Águas", situado no município de Igaratá, da Comarca de Santa Isabel, com área de 690,00 metros quadrados. (Avaliação: R$ 25.000,00)
5.9 - Identificação: Matrícula: 34387 - 1º Cartório - SANTA ISABEL/SP. Descrição: Um lote de terreno sob o nº "69", da quadra "E", do loteamento denominado "Canto das Águas", situado no município de Igaratá, da Comarca de Santa Isabel, com área de 753,75 metros quadrados. (Avaliação: R$ 25.000,00)
5.10 - Identificação: Matrícula: 34388 - 1º Cartório - SANTA ISABEL/SP. Descrição: Lote 70, da Quadra E, do Loteamento denominado CANTO DAS ÁGUAS, situado no município de Igaratá, Estado de São Paulo, com área de 806,25 metros quadrados. (Avaliação: R$ 25.000,00)
5.11 - Identificação: Matrícula: 34389 - 1º Cartório - SANTA ISABEL/SP. Descrição: Lote 71 da Quadra E, do loteamento denominado CANTO DAS ÁGUAS, com área de 843,76 metros quadrados. (Avaliação: R$ 25.000,00)
5.12 - Identificação: Matrícula: 34390 - 1º Cartório - SANTA ISABEL/SP. Descrição: Lote 16 da Quadra F, do loteamento denominado CANTO DAS ÁGUAS, com área de 450,00 metros quadrados. (Avaliação: R$ 15.000,00)
5.13 - Identificação: Matrícula: 34391 - 1º Cartório - SANTA ISABEL/SP. Descrição: Lote 17 da Quadra F, do loteamento denominado CANTO DAS ÁGUAS, com área de 450,00 metros quadrados. (Avaliação: R$ 15.000,00)
5.14 - Identificação: Matrícula: 34392 - 1º Cartório - SANTA ISABEL/SP. Descrição: Lote 21 da Quadra F, do loteamento CANTO DAS ÁGUAS, com área de 450,00 metros quadrados. (Avaliação: R$ 15.000,00)
5.15 - Identificação: Matrícula: 34393 - 1º Cartório - SANTA ISABEL/SP. Descrição: Lote 26 da Quadra F, do loteamento CANTO DAS ÁGUAS, com área de 772,50 metros quadrados. (Avaliação: R$ 15.000,00)
(Proc. 0010459-66.2018.5.15.0138 - EXE3 - São José dos Campos)
Proprietários: PEACE LAGOON ADMINISTRADORA DE BENS LTDA.