BENS EM SANTA CATARINA E MATO GROSSO DO SUL - JUSTIÇA FEDERAL DE PASSO FUNDO/RS

Judicial Online
Aberto para Lances
Categoria(s) do leilao:
92
33
10700
Leilão ID: 29857Condições de venda
33lote(s) em
MS
RJ
SC
1ª Encerramento-02/10/202513:57
2ª Encerramento-09/10/202511:00

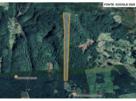
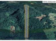
Sítio com 10,25 hectares no lugar Santana

I_18515_755871_A.jpg
I_18515_755871_A.jpg
I_18515_755884_B.jpg
I_18515_755887_C.jpg
I_18515_755890_D.jpg
I_18515_755892_E.jpg
I_18515_755895_F.jpg
I_18515_755897_G.jpg
I_18515_755904_H.jpg
I_18515_755906_I.jpg
I_18515_755909_J.jpg
I_18515_755911_K.jpg
Documentos
EDITAL
MATRÍCULA
AVALIAÇÃO
Aberto para Lance
Lote:7
Visitantes
240
Habilitados
92
lances
0
Urussanga/SC
Avaliação:
R$ 160.000,00
Lance Atual:
R$ 0,00
Descricao
Sítio c/ 10,25 hectares (102.500m²), lote nº 66, no lugar Santana, Urussanga/SC, Cad. Incra nº 809.179.002.836-2, CRI 28.251. (Proc. 5001452-46.2017.4.04.7200)

(O IMÓVEL PODE SER PARCELADO COM 25% DE ENTRADA E O RESTANTE EM ATÉ 30 MESES) 

OBS.: A equipe da Leiloeira compareceu ao município de Urussanga/SC, com o intuito de obter informações acerca da localização do imóvel penhorado. Foi realizado contato, por meio telefônico, agrimensor que auxiliara o oficial de justiça na avaliação do imóvel anteriormente. Em seguida, a equipe deslocou-se até a localidade de Santana, onde foi identificada a área penhorada. Imóvel está em péssimo estado de conservação. Trata-se de imóvel tomado por vegetação, sem acesso direto. Localização do imóvel: -28.4605504, -49.3874110.

Ônus: Reserva Legal de 20%.

IMÓVEIS ARREMATADOS POR MENOS DE R$ 300.000,00 A COMISSÃO SERÁ DE 10% SOBRE O VALOR DA ARREMATAÇÃO, SUPERANDO ESSE VALOR, PASSA A SER DE 6%.

O bem será entregue livre dos ônus, conforme as condições descritas no edital.