JUSTIÇA ESTADUAL DE JARU/RO - 2ª VARA CÍVEL

Venda Direta
Aberto para Lances
Categoria(s) do leilao:
1
6
823
Leilão ID: 31400Condições de venda
6lote(s) em
RO
1ª Ciclo-22/10/202510:00
2ª Ciclo-05/11/202511:15
3ª Ciclo-21/11/202516:00
4ª Ciclo-05/12/202516:00
5ª Ciclo-05/01/202616:00

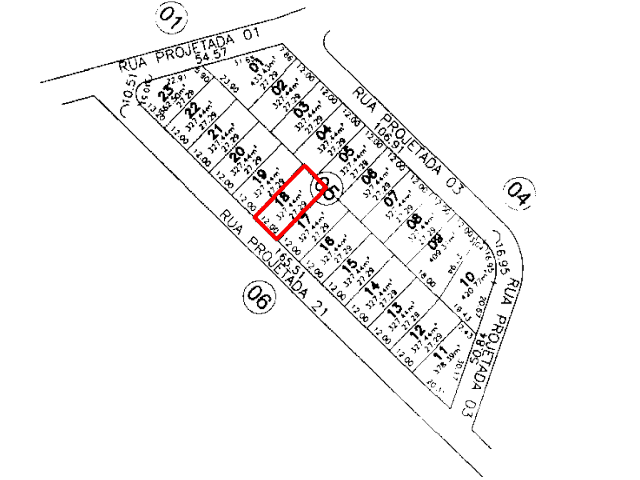
Terreno c/ 327,44m² - Jaru/RO

I_18730_919706_A.jpg
I_18730_919706_A.jpg
I_18730_919709_B.jpg
Documentos
EDITAL
MATRÍCULA
AVALIAÇÃO
Aberto para Lance
Lote:1
Visitantes
283
Habilitados
1
lances
0
Jaru/RO
Avaliação:
R$ 92.000,00
Lance Atual:
R$ 0,00
Descricao
Terreno c/ área de 327,44m², lote nº 18, quadra nº 05, Residencial Orleans, Rua Projetada 21 (Rua Cabriúva), Jaru/RO. Cadastrado municipal sob o nº. 014407, inscrição sob o nº 1900501800000 e CRI local sob o nº. 20.474. (Proc. 7003971-46.2018.8.22.0003)

AVALIAÇÃO: R$ 92.000,00 | LANCE MÍNIMO: R$ 73.600,00

(O IMÓVEL PODE SER PARCELADO COM 25% DE ENTRADA E O RESTANTE EM ATÉ 30 MESES)

Obs.: No imóvel não há nenhuma construção. 

Obs.: Lote localizado em área residencial, bem localizado (próximo à FIMCA – Faculdades Integradas Aparício Carvalho).