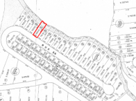
Terreno c/ 690,00m² - Igaratá/SP


Leiloeiro(a): Arthur Vieira
Para participar do leilão, acesse o site do(a) Leiloeiro(a) clicando abaixo:

Documentos
MATRICULA
AVALIAÇÃO
Aberto para Lance
Lote:5.08
Visitantes
47
Habilitados
19
lances
0
Igaratá/SP
Avaliação:
R$ 25.000,00Lance Atual:
R$ 0,00Descricao
Um lote de terreno sob o nº "67", da quadra "E", do loteamento denominado "Canto das Águas", situado no município de Igaratá, da Comarca de Santa Isabel, com área de 690,00 metros quadrados. (Proc. 0010459-66.2018.5.15.0138 - EXE3 - São José dos Campos)
Identificação: Matrícula: 34385 - 1º Cartório - SANTA ISABEL/SP.
Proprietários: PEACE LAGOON ADMINISTRADORA DE BENS LTDA.
Localização: LOTE 67 Bairro: LOTEAMENTO CANTO DAS ÁGUAS Complemento: QUADRA E Cidade: IGARATA UF: SP.