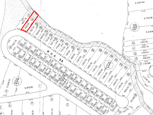
Terreno c/ 806,25m² - Igaratá/SP


Leiloeiro(a): Arthur Vieira
Para participar do leilão, acesse o site do(a) Leiloeiro(a) clicando abaixo:

Documentos
MATRICULA
AVALIAÇÃO
Aberto para Lance
Lote:5.10
Visitantes
58
Habilitados
19
lances
0
Igaratá/SP
Avaliação:
R$ 25.000,00Lance Atual:
R$ 0,00Descricao
Lote 70, da Quadra E, do Loteamento denominado CANTO DAS ÁGUAS, situado no município de Igaratá, Estado de São Paulo, com área de 806,25 metros quadrados. (Proc. 0010459-66.2018.5.15.0138 - EXE3 - São José dos Campos)
Identificação: Matrícula: 34388 - 1º Cartório - SANTA ISABEL/SP.
Proprietários: PEACE LAGOON ADMINISTRADORA DE BENS LTDA.
Localização: LOTE 70 Bairro: LOTEAMENTO CANTO DAS ÁGUAS Complemento: QUADRA E Cidade: IGARATA UF: SP.