02 Grandes Galpões Industriais - Terreno- Taubaté/SP



Leiloeiro(a): Arthur Vieira
Para participar do leilão, acesse o site do(a) Leiloeiro(a) clicando abaixo:

Terreno designado ÁREA B, situado no bairro da Água Quente, nesta cidade, com a seguinte descrição: inicia-se no ponto Q’ e segue até o ponto Q, pela distância de 210,735m, confrontando com a Avenida Arcênio Riemma para qual faz frente, deflete à esquerda e segue confrontando com a Rua Elias João Andraus Neto, pela distância de 68,63m até o ponto A1, deflete à esquerda com ângulo interno de 101°37'26" e segue pela distância de 187,11m até o ponto A6, deflete à direita com ângulo externo de 90°19'28" e segue pela distância de 222,77m, até o ponto A5, deflete à direita com ângulo externo de 89°56'1" e segue pela distância de 15,90m até o ponto A4, deflete à esquerda com ângulo interno de 89°56'48" e segue pela distância de 14,64m até o ponto A3, deflete à direita com ângulo externo de 89°33'21" e segue pela distância de 156,76m até o ponto A2, confrontando do ponto A1 até o ponto A2 com a Área A, de propriedade da Hasa Administrações e Participações Ltda., deflete à esquerda com ângulo interno de 89°31'36" e segue pela distância de 216,75m até o ponto K, confrontando com a Rua Elias João Andraus Neto, deflete à esquerda e segue agora confrontando com a Área C, pela distância de 182,735m até o ponto K', deflete novamente à esquerda e segue pela distância de 523,00m até encontrar o ponto Q', início desta descrição, confrontando com os prédios nºs 550, 500, 430 e 330 da Rua José Carlos Lopes, de propriedade da Prefeitura Municipal de Taubaté, encerrando uma área de 56.169,71m², cadastrado na Prefeitura Municipal no BC sob nº 6.4.083.069.001. (Proc. 0153700-32.2006.5.15.0102 - DIVEX - São José dos Campos)
Identificação: Matrícula: 139536 - 1º Cartório – TAUBATÉ/SP.
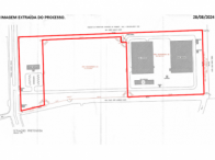
Ônus/Observação: Terreno completo, com aproximadamente 100.000m². Contudo, com base no documento de id. eff4eeb, a área de retrocessão é de 41.272m², de forma que por ora se avalia o terreno com área de 58.728m². Há dois grandes galpões industriais, bem como um galpão administrativo, com salas de escritório e reunião, uma guarita de entrada, e uma edificação à esquerda, não utilizada na atividade industrial ou administrativa. Cada um dos dois galpões industriais possui área de aproximadamente 6.000m², estando prontos para atividade industrial, desde que sejam feitos reparos nas instalações elétricas, janelas e teto. O primeiro galpão administrativo possui aproximadamente 600m², contando com vestiário, hall de entrada e salas separadas por divisórias. O segundo galpão administrativo possui aproximadamente 800m², composto por escritórios e sala de reuniões. A guarita tem aproximadamente 20m², não se contabilizando na avaliação.
Proprietário: HASA-HERVY ADMINISTRAÇÕES E PARTICIPAÇÕES LTDA.
Localização: Rua Elias João Andraus Neto, Água Quente, Taubaté.