Terreno c/ 380,79m² - Ponta Porã/MS


Leiloeiro(a): Conceição Maria Fixer
Para participar do leilão, acesse o site do(a) Leiloeiro(a) clicando abaixo:

Documentos
EDITAL
MATRÍCULA
AVALIAÇÃO
Aberto para Lance
Lote:2
Visitantes
57
Habilitados
0
lances
0
Ponta Porã/MS
Avaliação:
R$ 126.000,00Lance Atual:
R$ 0,00Descricao
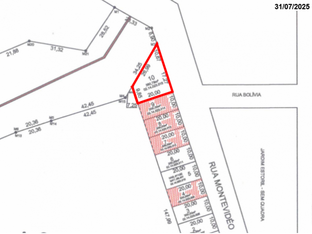
Terreno c/ 380,79m², lote 10, Rua Montevidéu, Ponta Porã/MS, sem benfeitorias. Inscrição Imobiliária Municipal sob o n° 02.14.023.015. Imóvel matriculado sob o nº 58.446 no Cartório de Registro de Imóveis de Ponta Porã/MS.
